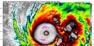
Hurricane Melissa reached maximum Category 5 strength when it made landfall in Jamaica. The sudden onslaught of destruction cannot be described unless you’ve seen the apocalyptic land of a coastal town that has received a direct hit from a hurricane. The damage from Melissa is unknown, but preliminary calculations suggest it could be one-third of the nation’s GDP.
Jamaican Prime Minister Andrew Holness said the damage could be up to 32% of last year’s GDP. The $7 billion in damage is a conservative estimate. “Experts describe Melissa to be on the very edge of what is physically possible in the Atlantic Ocean, a storm powered by record sea temperatures,” he said. “Its force was so immense that seismographs hundreds of miles away registered its passage.” Holness said that the nation’s infrastructure must be reformed to protect it from future weather events.
Economic output is likely to decline by a minimum of 13% due to the damage as the nation heavily relies on tourism. Tourism directly accounts for 9.5% to 10.5% of Jamaica’s GDP, but accounts for 30% when factoring in the indirect effects. Last year, the nation experienced record-breaking revenue after generating $4.3 billion. The government had anticipated it would surpass last year’s record and secure $5 billion from tourism this year.
Agriculture is expected to be disrupted due to the hurricane, a sector that contributes 17.4% to Jamaica’s GDP. The loss will be more significant for the nation as domestic production accounts for a significant portion of the nation’s fresh produce supply.
The United States is providing $12 million in urgent aid to Jamaica as part of a larger $24 million package for the Caribbean. Jamaica heavily relies on the US for imports, with the total percentage of goods from the US reaching up to 60% annually. It’s a small island with a small economy. The nation was on the up before the hurricane, and it will take time to recover. Even the Tampa Bay area in Florida is still working on repairs nearly a year after Hurricane Helene and Milton hit back-to-back. My condolences are with the Jamaican people recovering from this tragedy.
